Melissa Kasırgası ülkeye ulaştı… Alarm durumu en tehlikeli seviyede

Melissa Kasırgası ülkeye ulaştı… Alarm durumu en tehlikeli seviyede

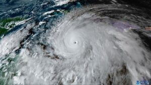
Karayipler bölgesinde hızını artıran Melissa Kasırgası’nın, Jamaika’nın güneybatısında yer alan New Hope bölgesine ulaştığı bildirildi.